Home Lifestyle Просте бадилля від помідорів допоможе позбавитися попелиці: ефективний спосіб

Просте бадилля від помідорів допоможе позбавитися попелиці: ефективний спосіб

by admin
0 переглядів

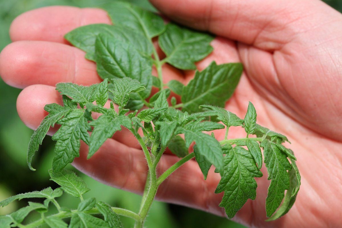
Після збирання врожаю томатів не поспішайте викидати бадилля.

З помідорного бадилля можна приготувати ефективний засіб від попелиці.

Як зробити засіб від попелиці з помідорного бадилля

650 г свіжого або 400 г сушеного бадилля кладемо в 10-літрове відро, заливаємо водою і залишаємо на три доби.




Далі проціджуємо та додаємо пару ложок господарського мила.

Розбавляти отриманий засіб не потрібно, його можна використовувати в концентрованому вигляді.


Про проект

Arguments.kyiv.ua – новинний ресурс про всі важливі події в Україні та світі.

Новинки

КОНТАКТИ

Для нас дуже важливий зворотній зв’язок від Вас.

 

Якщо у вас виникли питання, ви можете написати нам.